광안A 재개발 프로젝트: 망미동 구역 변화 및 최신 도시계획 공고 - 아크로광안 조감도 및 위치 상세 분석

광안A 재개발 프로젝트: 망미동 구역 변화 및 최신 도시계획 공고 - 아크로광안 조감도 및 위치 상세 분석

광안A 재개발 프로젝트: 망미동 구역 변화 및 최신 도시계획 공고 - 아크로광안 조감도 및 위치 상세 분석



광안A구역, 구)망미2구역 / 광안A 재개발사업 정비계획 및 정비구역 변경 지정고시

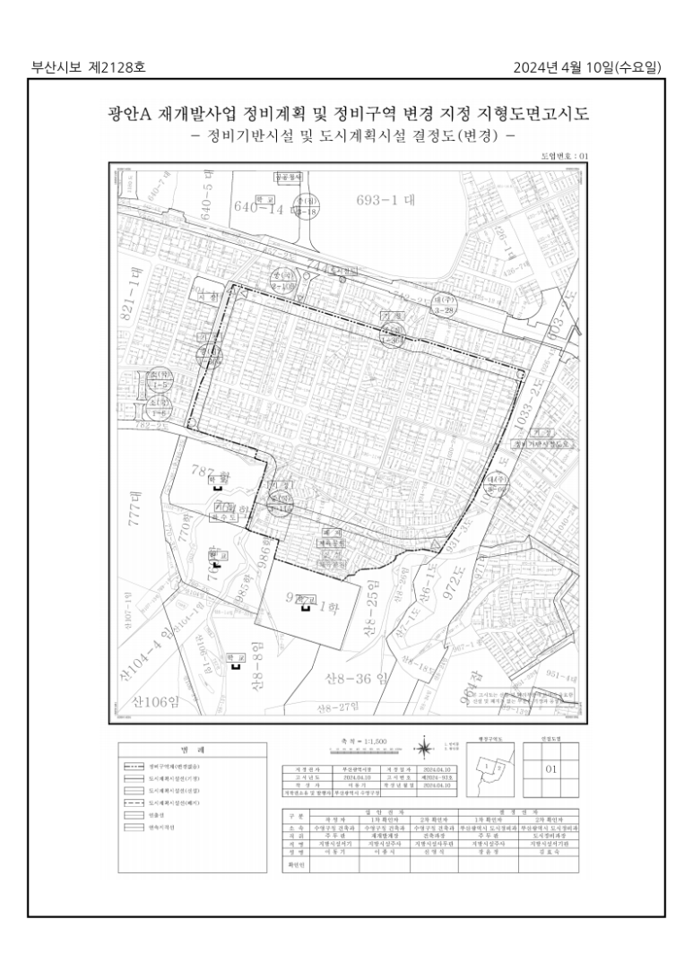
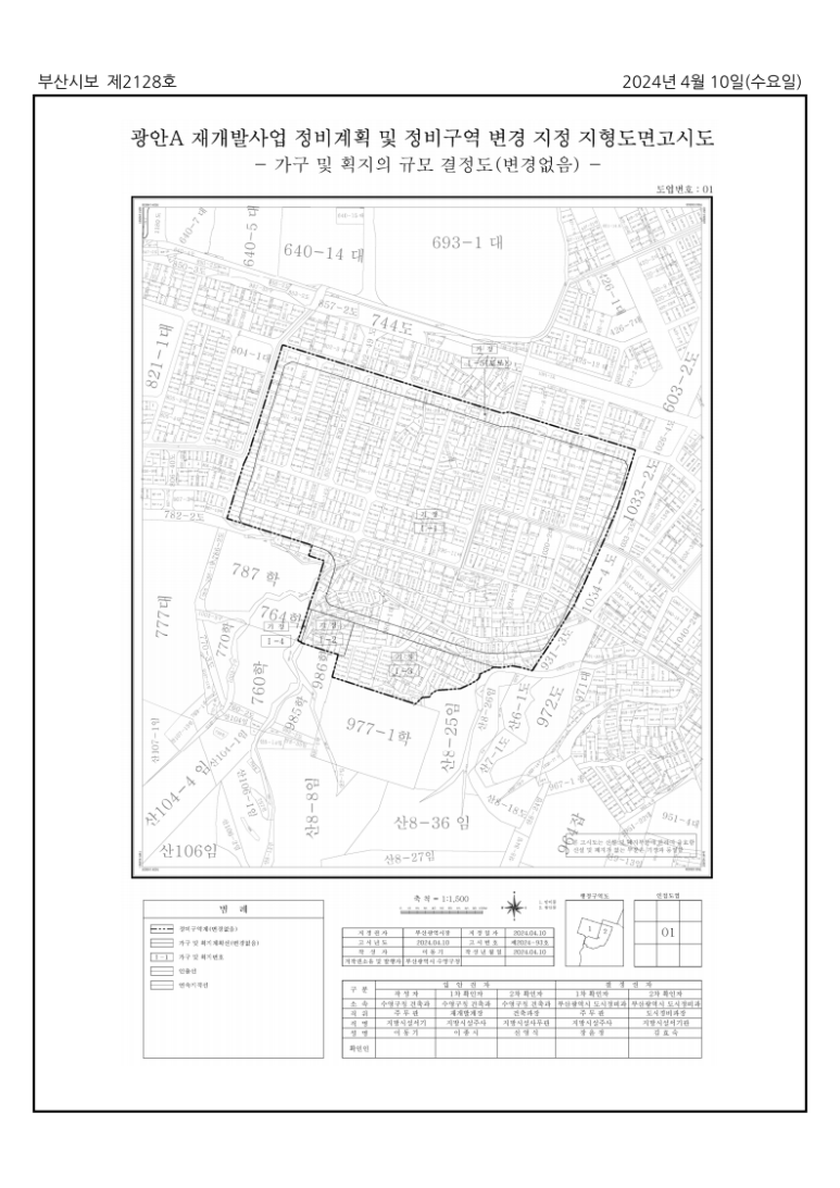
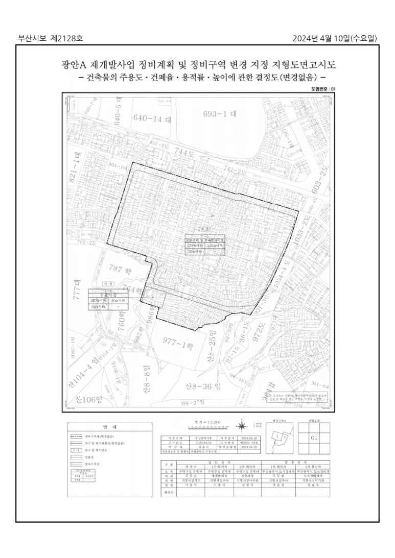
부산광역시가 광안A 재개발사업에 대한 새로운 발걸음을 내딛었다. 이번에 변경된 정비계획과 정비구역은 수영구 망미동 800-1번지 일원에 해당한다. 이 지역의 재개발사업은 도시의 새로운 모습을 제시하며 주민들의 주거 환경 개선에 큰 기여를 할 것으로 기대된다. 부산광역시는 이번 결정을 통해 지역 발전에 또 하나의 중요한 이정표를 세웠다.

image
image

부산광역시는 2024년 4월 10일, 광안A 재개발사업에 대한 정비계획 및 정비구역 변경을 고시했다. 이번 고시에서는 기존 정비계획에 대해 토지이용계획과 용도지역의 변경은 없이 진행된다고 밝혔다. 광안A 재개발사업은 부산광역시 수영구 망미동 800-1번지 일원에 위치해 있으며, 총 면적은 135,079.3㎡에 달한다. 이 지역은 제3종일반주거지역과 자연녹지지역으로 구성되어 있으며, 계획용적률은 278% 이하로 설정되어 있다.

재개발 완료 후, 광안A구역의 주택은 부산 지하철 3호선 망미역 역세권에 위치하게 되며, 이는 주민들에게 편리한 교통 접근성을 제공할 것으로 기대된다. 더불어 수영구의 유명 학군인 수미초등학교, 광안중학교, 덕문여자고등학교와 인접해 있어, 교육 환경 또한 매우 우수하다.

2021년 12월에는 DL이앤씨의 프리미엄 브랜드인 '아크로(ACRO)'로 재개발사업의 브랜드가 결정되었으며, 이는 부산시 내에서도 주목받는 재개발, 재건축 사업장 중 하나로 꼽힌다. 이처럼 광안A 재개발사업은 뛰어난 접근성, 우수한 교육 환경, 쾌적한 주거 환경을 모두 갖추고 있어, 향후 광안 지역 부동산 가치 상승에 큰 영향을 미칠 것으로 전망된다.

image
image
image
image
image
image
image
23년 부산시 12회 건축위원회 심의결과 / 광안A구역, 서,금사6구역 재개발, 사하오성맨션, 덕천동 365-26 가로주택, 명장동 23-2 주상복합

부산시 수영구 망미동에 위치한 광안A구역 재개발정비사업이 2023년 11월 23일 부산시 건축위원회의 조건부 의결을 받았다. 이 사업은 총 대지면적 106,422.3㎡에 걸쳐 이루어지며, 제3종일반주거지역으로 지정되어 있다. 해당 부지에는 총 18개 동의 아파트가 건설될 예정으로, 지하 5층부터 지상 30층까지의 공동주택 총 2,554세대가 들어설 예정이다.

이 프로젝트는 주용도로 공동주택 아파트를 포함해 부대복리시설 및 근린생활시설을 갖추고 있으며, 철근콘크리트구조로 계획되어 있다. 건축면적은 17,513.0364m², 건폐율은 16.46%로 설정되었으며, 최고 높이는 117.5m에 달한다. 또한, 용적률은 277.81%로 책정되어 있어, 대규모 주거공간을 제공하게 될 것이다. 이번 심의를 통해 광안A구역 재개발정비사업은 부산시의 새로운 주거환경 개선 프로젝트로 한 걸음 나아갈 수 있게 되었다.



부산광역시 고시 제2024-93호

광안 재개발사업이 새로운 전환점을 맞이하였다. 이번에 고시된 변경 지정으로 정비계획 및 정비구역에 대한 결정이 이루어졌다. 해당 변경사항은 재개발 정비구역 지정조서에 명시되어 있다. 이는 광안 지역의 재개발 사업 진행에 있어 중요한 이정표가 될 것으로 보인다.

가. 토지이용계획:
변경없음

나. 용도지역 변경에 관한 계획 : 변경없음

image
image
image
image
image
image
image
image
image
image
image
image
image
image
image
image
image
image
image
image
image

부산광역시는 '광안A 재개발사업'에 대한 정비계획 및 정비구역 변경을 공고하였다. 이번 변경은 제2024-93호로, 2024년 4월 10일자로 지정 고시되었다. 해당 사업은 광안A 지역의 재개발을 촉진하고, 주거 환경을 개선하기 위한 조치이다. 이로써 광안A 지역의 재개발 사업이 새로운 단계로 진입하게 되었다.

-1번지 #광안A구역, #망미2구역, #광안A, #재개발사업, #정비계획, #정비구역, #변경, #지정고시, #수영구, #망미동, #800, #대림, #DL, #아크로광안, #acro, #수미초, #광안중, #망미역, #덕문여고, #학군



#부산재개발, #부산광역시, #도시개발, #부동산가치상승, #역세권주거지, #교통접근성, #교육환경, #주거환경개선, #부산시건축위원회, #조건부의결, #공동주택, #부대복리시설, #근린생활시설, #철근콘크리트구조, #고층아파트, #용적률, #건폐율, #부산부동산, #수영구재개발, #망미동재개발, #프리미엄브랜드아파트, #ACRO브랜드, #DL이앤씨, #재개발정비사업, #부산주거환경, #도시재생, #부산도시계획, #부산역세권, #부산학군지역
다음 이전