구서동 소규모 재건축사업을 위한 조합설립(변경) 및 지형도면 고시 안내

구서동 소규모 재건축사업을 위한 조합설립(변경) 및 지형도면 고시 안내

구서동 소규모 재건축사업을 위한 조합설립(변경) 및 지형도면 고시 안내



구서동(금화,산호,삼산)소규모재건축사업 조합설립(변경)인가 및 지형도면 고시

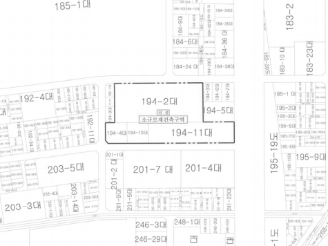
- 금정구 구서동 194-11번지 외 3필지

image

부산광역시 금정구는 구서동 194-11번지 외 3필지에서 진행 중인 구서동(금화, 산호, 삼산) 소규모 재건축사업을 위해 조합설립(변경)인가 및 지형도면을 고시했습니다. 이번 인가는 '빈집 및 소규모주택 정비에 관한 특례법' 제23조에 따라 이뤄졌으며, '토지이용규제법' 제8조에 근거하고 있습니다.

구서동(금화, 산호, 삼산) 소규모 재건축사업은 금정구 구서동 194-11번지 외 3필지에 위치하며, 총 면적은 8,401.20㎡입니다. 이번 사업의 착수 예정일과 준공 예정일은 아직 미정 상태입니다. 이번 조합설립(변경)인가를 통해 구서동 지역의 도시재생과 향후 발전에 긍정적인 영향을 미칠 것으로 기대됩니다.

image

금정구에 위치한 구서동(금화, 산호, 삼산) 소규모재건축사업조합이 조합명칭으로 정해졌다. 조합 사무소는 중앙대로1893번길 5, 2층에 위치하고 있으며, 최근 발표된 조합 고시에는 정관 및 임원·대의원 변경, 조합원 교체 및 신규가입 등의 내용이 포함되어 있다.

이번 고시는 2024년 3월 조합설립(변경)인가를 위한 주민 공람 및 공고 후 조합설립(변경)인가가 정식으로 이뤄진 것이다. 금정구청은 이번 재건축사업을 통해 구서동 일대의 주거환경을 개선하고, 보다 쾌적한 주거공간을 제공할 계획이라고 밝혔다. 구서동 지역 주민들에게는 더 나은 주거 환경과 편리한 시설이 제공될 것으로 기대된다.

image
구서동(금화,산호,삼산)소규모재건축사업 조합설립(변경)인가를 위한 주민 공람ㆍ공고 - 금정구 구서동 194-11번지 외 2필지





부산광역시 금정구 고시 제2024-69호

구서동(금화, 산호, 삼산)소규모재건축사업 조합설립(변경)인가 및 지형도면 고시

부산광역시 금정구 구서동 194-11번지 외 3필지 구서동(금화,산호,삼산)소규모재건축사업에 대하여, '빈집 및 소규모주택에 관한 특례법' 제23조에 따라 조합설립변경인가 하고, '토지이용규제법' 제8조 규정에 따라 사업시행구역에 관한 지형도면을 아래와 같이 고시합니다.

2024년 5월 29일
부산광역시 금정구청장

1. 사업의 종류 및 명칭
가. 종류 : 소규모재건축사업
나. 명칭 : 구서동(금화,산호,삼산)소규모재건축사업

2. 사업시행구역의 위치 및 면적
가. 위치 : 금정구 구서동 194-11번지 외 3필지
나. 면적 : 8,401.20㎡

3. 사업의 착수 예정일 및 준공 예정일
가. 착수 예정일 : 미정
나. 준공 예정일 : 미정

4. 조합의 명칭 및 사무소 소재지
가. 조합명칭 : 구서동(금화,산호,삼산) 소규모재건축사업조합
나. 사무소 소재지 : 금정구 중앙대로1893번길 5, 2층

5. 변경사항 : 정관 및 임원·대의원 변경, 조합원 교체 및 신규가입

image
image

구분
고시
기관구분
구군
기관
금정구
고시·공고 번호
제2024-69호
제목
구서동(금화,산호,삼산)소규모재건축사업 조합설립(변경)인가 및 지형도면 고시
일자
2024-05-29

#부산, #금정구, #구서동, #금화, #산호, #삼산, #소규모재건축, #재건축사업, #조합설립인가, #지형도면고시, #주거환경개선, #부산재개발, #부산재건축, #부산도시계획, #부산주택, #도시재생, #부산뉴스, #부산블로그, #주민참여, #주민공람, #부산주거, #도시정비, #부산도시재생, #부산주택정비, #부산주거정비, #부산주거환경, #재건축조합, #주택정비, #재건축추진, #금정구청

다음 이전