동래구 사직4구역 재개발: 정비계획 결정 및 구역 지정 고시 안내
사직4 재개발사업 정비계획 결정 및 정비구역 지정 고시
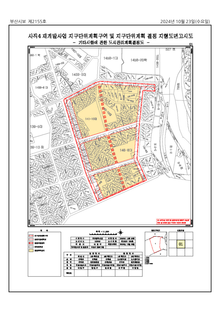
- 동래구 사직동 141-10번지 일원 사직4 재개발
부산광역시는 2024년 10월 23일, 사직4 재개발사업의 정비계획 결정과 정비구역 지정 고시를 발표했다.
이번 고시는 2024년 5월에 진행된 공람 및 공고 과정을 거쳐 최종 확정된 사항으로, 사직동 141-10번지 일대 총 면적 96,089㎡에 대한 재개발 계획을 포함하고 있다.
사직4구역 재개발사업은 대규모 프로젝트로, 공동주택과 부대복리시설, 공공청사, 근린생활시설 등이 포함되어 있다. 이 사업을 통해 총 1,818세대가 건설될 예정이다.
개발은 3개 단지로 나뉘어 진행되며, 초기 계획에서는 3단지 동측 블럭이 제외되었으나, 최종 계획에는 포함되어 정사각형 형태로 깔끔하게 재개발이 이루어진다.
세대 구성은 38㎡ 타입 204세대, 59㎡ 타입 360세대, 74㎡ 타입 196세대, 84㎡ 타입 910세대, 그리고 110㎡ 타입 148세대로 다양하게 마련되어 있다.
| 사직4구역 재개발 예상 세대수 | |
| 타입 | 세대수 |
| 38 | 204 |
| 59 | 360 |
| 74 | 196 |
| 84 | 910 |
| 110 | 148 |
| 총 세대수 | 1,818세대 |
사직4구역은 4호선 동래역 근처에 위치해 있으며, 동래역세권의 생활 편의를 누릴 수 있다. 또한, 내성중학교와 가까워 교육 환경이 뛰어난 점도 큰 장점이다. 센텀-만덕 대심도의 부전 IC와도 가까워 차량 이용이 편리할 것으로 예상된다.
이번 재개발 계획은 사직동 일대에서 가장 넓은 면적을 포함하고 있어, 주거 환경에 큰 변화가 있을 것으로 기대된다. 이러한 변화는 지역 주민들에게 보다 나은 생활 환경을 제공할 것이다.
부산광역시 고시 제2024-364호
사직4 재개발사업 정비계획 결정 및 정비구역 지정 고시
1. 부산광역시 동래구 사직동 141-10번지 일원의 사직4 재개발사업 정비구역에 대하여 「도시 및 주거환경정비법」 제16조 규정에 따라 다음과 같이 정비계획 결정 및 정비구역 지정을 고시하며, 「토지이용규제 기본법」 제8조 및 같은 법 시행령 제7조 규정에 따라 지형도면을 고시합니다.
2. 관계도서(토지이음 “http://www.eum.go.kr”에서 열람 가능)는 부산광역시 도시정비과(☎ 051-888-4232) 및 동래구 건축과(☎ 051-550-4606)에 비치하여 일반인에게 보입니다.
2024년 10월 23일
부산광역시장
I. 정비구역의 지정 및 정비계획 결정
1. 재개발사업 정비구역 지정 조서
| 지정구분 | 사업의 구분 | 구역의 명칭 | 위치 | 면적(㎡) | 비고 |
| 신규 | 재개발사업 | 사직4 재개발사업 정비구역 | 부산광역시 동래구 사직동 141-10번지 일원 | 96,089 | |
2. 재개발 정비계획
○ 토지이용에 관한 계획
| 구분 | 명칭 | 면적(㎡) | 비율(%) | 비고 |
| 도시관리계획 용도지역 | 계 | 96,089.0 | 100.0 | |
| | 제3종일반주거지역 | 95,614.4 | 99.5 | 제2종→제3종 |
| | 준주거지역 | 474.6 | 0.5 | |
| 도시관리계획 용도지구 | 계 | 96,089.0 | 100.0 | |
| | 택지 및 경비기반시설(도시계획시설) | 71,189.0 | 74.1 | |
| | 공동주택용지1 | 37,731.0 | 39.3 | |
| | 공동주택용지2 | 19,896.0 | 20.7 | |
| | 공동주택용지3 | 13,562.0 | 14.1 | |
| | 근린생활시설 | 508.0 | 0.5 | |
| | 정비기반시설(도시계획시설) | 24,392.0 | 25.4 | |
| | 도로 | 18,672.0 | 19.5 | |
| | 공원 | 5,170.0 | 5.4 | |
| | 공공청사 | 550.0 | 0.5 | |
○ 용도지역 변경에 관한 계획
| 구분 | 면적(㎡) | 변경 | 변경후 | 비율(%) |
| 합계 | 96,089.0 | - | 96,089.0 | 100.0 |
| 제2종일반주거지역 | 95,614.4 | 감소 95,614.4 | - | - |
| 제3종일반주거지역 | - | 증가 95,614.4 | 95,614.4 | 99.5 |
| 준주거지역 | 474.6 | | 474.6 | 0.5 |
○ 용도지역 변경 사유서
| 위치 | 용도지역 | 면적(㎡) | 용적률 | 변경사유 |
| 동래구 사직동 141-10번지 일원 | 제2종일반주거지역 → 제3종일반주거지역 | 95,614.4 | 300% 이하 | 대상지는 노후불량건축물이 밀집하여 주거환경 개선 및 정비기반시설 정비가 필요한 지역으로서 효율적 토지이용을 위하여 제2종일반주거지역을 제3종일반주거지역으로 변경 결정고시함 |
○ 토지소유자별 분담금 추산액 및 산출근거
| 총수입 추산액 | 총사업비 추산액 | 종전자산합계 추산액 | 추정비례율 |
| 1,270,917,117천원 | 951,831,573천원 | 291,125,918천원 | 109.6% |
산출근거
- 총전자산합계 추산액 = 분양신청자의 종전자산 합계 추산액
- 추정 비례율 = (총수의 추산액 - 총사업비 추산액) / 분양신청자의 종전자산 합계 추산액 × 100%
- 토지소유자별 분담금 추산액 = 조합원입주양가 - 권리가액
○ 건축물의 주용도·건폐율·용적률·높이에 관한 계획
1.
기준용적률
:
- 주거정비형구역: 240%
- 준주거지역: 360%
2.
최대 허용용적률
:
- 기본 용적률(240%)에 다양한 인센티브가 적용되어
최대 279% 이하의 용적률이 허용
됨.
- 주거지역 평균용적률은 472.2%, 준주거지역 평균용적률은 832.2%로 계산됨.
3.
용적률 완화 적용
:
- 인센티브로 추가 완화 적용이 가능하며, 이 경우 허용용적률은 260.4% + 19% = 279.4%로 설정됨.
구분
고시
기관구분
시
기관
부산광역시
고시·공고 번호
제2024-364호
제목
사직4 재개발사업 정비계획 결정 및 정비구역 지정 고시
일자
2024-10-23
#사직4재개발, #부산재개발, #재개발사업, #사직동재개발, #부산정비사업, #부산재개발소식, #부산공동주택, #부산아파트, #사직동주거환경, #도시정비계획, #부산광역시, #재개발고시, #부산정비계획, #사직역세권, #동래역세권, #부산도시정비, #주거환경개선, #부산4호선, #내성중학교, #부전IC, #사직4구역, #부산부동산, #부산주택시장, #부산세대수, #사직동, #부산대규모개발, #부산정비구역, #사직4구역계획, #부산정비고시, #부산교통, #센텀대심도